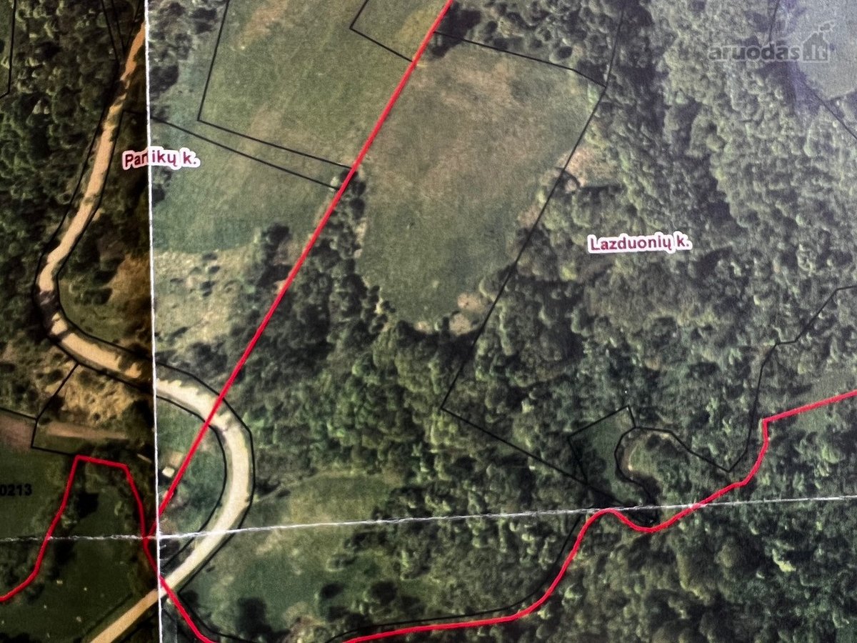
574a sklypas su mišku ir Lazduonos upės pakrante iki Dubysos 200 m;
Sklype gražus miškas ir ~300m Lazduonos upės pakrantės;
Dvi labai gražios privačios miško įlankos poilsiui ir ne tik;
Geras privažiavimas, elektra netoli;
Žemės ūkio paskirtis;
Medžiotojo namelis ir šėrykla sklype;
1a - 82eur;
Yra nauja vertinimo ataskaita( įvertinta bankui 40000Eur) - galite pirkti išsimokėtinai per banką;
~200m iki Dubysos upės;
~35km Kauno miestas;
Daugiau informacijos telefonu.
| RCNumber | |
| Area a | 574 a, |
| Įrengimas | Žemės ūkio, miškų ūkio |
| Tipas | Pardavimui |
| Ypatybės | Kraštinis sklypas, Greta miško, Be pastatų, Su pakrante |